В мире
У Ким Кардашян появится двойник
Расследование «преступления века» зашло в тупик. Нет никакого прогресса в деле о вооружённом нападении на звезду реалити-шоу и жену рэпера Канье Уэста Ким Кардашян. У следствия практически нет зацепок, если не считать камешка, найденного вблизи парижского отеля, где ограбили скандально известную знаменитость.
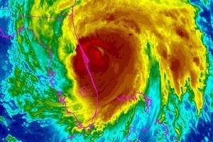
Ураган «Мэтью» серьёзно напугал жителей стран Карибского бассейна и юго-востока США. По последним данным, жертвами вихря стали 570 человек. В США от разрыва сердца умерла одна женщина, остальные погибшие – жители Гаити и Багамских островов. Во Флориде жизнь замерла в ожидании худшего.
Опубликован долгосрочный прогноз ведущей американской метеослужбы Accuweather для Западной и Восточной Европы на зиму 2016-2017 годов. Для России, Беларуси, Прибалтики и Украины синоптики прогнозируют одно-два вторжения очень холодного арктического воздуха в январе и феврале.
Чем больше времени проходит после ночного вооружённого нападения на звезду реалити-шоу и самую дутую знаменитость Ким Кардашян, тем больше возникает сомнений в правдивости официальной версии. Своё мнение об этой истории высказал один из самых влиятельных американских журналистов Говард Стерн.
Как мы уже сообщали, сегодня ночью в парижском отеле было совершено разбойное нападение на звезду реалити-шоу Ким Кардашян. По уточнённым данным, в нападении участвовали пять вооружённых людей в масках. Они держали знаменитость на мушке и требовали драгоценности. По предварительным данным, их унесли у Ким на 16 миллионов долларов.
Джоли ударила Питта под дых – в переносном, конечно, смысле. «Миссис Смит» одержала безоговорочную победу над «Мистером Смитом». Брэд, по свидетельству прессы, пребывает в шоке и депрессии. Каждый день он звонит родителям Биллу и Джейн, жалуется и плачет. Звезда "Бойцовского клуба" совсем раскис.
Канье Уэст шокировал своих поклонников, когда через 20 минут после начала выступления объявил что вынужден покинуть сцену «по семейным обстоятельствам». Рэперу только что сообщили, что его жена стала жертвой насилия в Париже, где она принимала участие в мероприятиях Недели высокой моды.
Все более отчётливо заметно, что Анджелина Джоли готовилась к разводу с Брэдом Питтом тщательно и основательно. Женщина не намерена упустить ни цента из тех денег, которые может отсудить у бывшего супруга. Она, мягко говоря, не стесняется.
На этой неделе южную Калифорнию опять трясло. Было зафиксировано около двухсот толчков, правда не очень сильных – до 4,3 балла по шкале Рихтера. Учёные предупредили, что за ними может последовать катастрофическое землетрясение силой до 7,8 балла. Пресса описывает, какие последствия это может иметь для крупных городов штата, особенно Лос-Анджелеса.
Принцесса, которая, как говорят, связана с покойным королем Саудовской Аравии Халидом бин Абдулазизом Аль Саудом, заставила художника-декоратора целовать её ноги внутри роскошной парижской квартиры, а потом сказала своим телохранителям: «Вы должны убить эту собаку, он не заслуживает того, чтобы жить».














