В мире
Руководители поисковой операции признались, что искали MH 370 не там
- Текст: Михаил Белецкий
- Фото: dailymail.co.uk
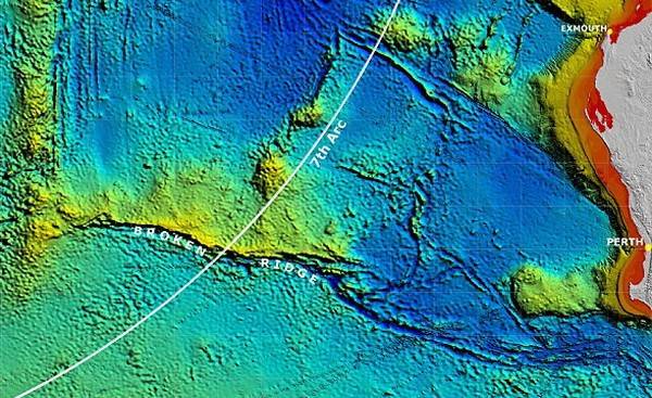
«Боинг-777» компании Malaysia Airlines, выполнявший рейс MH370 Куала-Лумпур – Пекин и пропавший в ночь на 8 марта, искали не там. Такое заключение следует из опубликованного в среду доклада Бюро транспортной безопасности Австралии. При анализе возможной траектории полета эксперты пришли к выводу, что самолет, скорее всего, намного больше отклонился к юго-западу и упал в воду в южной части Индийского океана далеко от берегов Австралии.

Выводы специалистов основываются на предположении, что правый двигатель самолета работал с перебоями и в конце концов воспламенился. Самолет при этом забирал влево. Почему этот сценарий следует считать более реалистичным, чем прежние, не разъясняется.
Авторы доклада честно признают, что могут быть и другие варианты. Район поиска будет уточняться по мере поступления новых данных.
Вместе с лайнером бесследно исчезли 239 человек, о судьбе которых нет никакой информации.
Ранее в рубриках
В Воронеже — Исполнитель Jony не выступит в воронежском ДС «Юбилейный», концерт отменили
И вторая попытка артиста дать концерт в Воронеже сорвалась.
В России — Фестиваль «Русский балет навсегда» объединит талантливых молодых хореографов и композиторов
Илзе Лиепа приглашает молодых хореографов из Воронежа принять участие в конкурсе.
В мире — Первый круизный лайнер прошёл через Ормузский пролив, что известно о переживаниях пассажиров
Это бы технический рейс: переход через Ормузский пролив осуществлялся исключительно силами экипажа.
Общество — В Воронеже объявлено о старте голосования за объекты благоустройства
В этом году в голосовании принимают участие 11 территорий.
Театр — «Чайка» и Кейт Бланшетт пролетели мимо премии «Оливье»
Фаворитами критиков стали спектакли «Паддингтон», «Эвита», «Панч», «Кенрекс».
Кино и телевидение — Финал шоу «Маска» на НТВ: Звёзды сорвут маски в Кремле!
Готовьтесь к кульминации седьмого сезона самого загадочного шоу страны.
Персона — Сергей Стадлер умер на борту рейса Санкт-Петербург — Стамбул
О кончине Сергея Стадлера сообщил губернатор Санкт-Петербурга Александр Беглов.
Литература — Глава СК Александр Бастрыкин дал поручение проверить сочинения Григория Остера на наличие «сомнительных установок»
В произведениях автора, известного «Вредными советами», будут искать «сомнительные с педагогической точки зрения установки».
Музыка — «О чем говорят женщины-композиторы», выяснят в Воронеже
Воронежцев приглашают к разговору о музыке, авторами которой являются женщины.
Изобразительное искусство — Выставка «Народное искусство в графике воронежских художников» в рамках проекта «Незабудка» открылась в Острогожске
Это новый пункт на пути эпичного проекта заслуженного художника России Владимира Гончарова.
Зал ожидания — Платоновка пригласила гостей на Библионочь под названием «По Матрёшкам!»
На один вечер библиотека превратится в пространство живого народного калейдоскопа.
Главное — Вечер одноактных спектаклей «Алеко» и «Привал кавалерии» пройдёт с участием любимых оперных и балетных артистов
Зрители увидят одноактные шедевры – оперу Сергея Рахманинова «Алеко» и балет в хореографии Мариуса Петипа «Привал кавалерии».




