В мире
Малазийский «Боинг» искали не там? Сигнал из глубины был ложным
- Текст: Михаил Белецкий
- Фото: abc.net.au
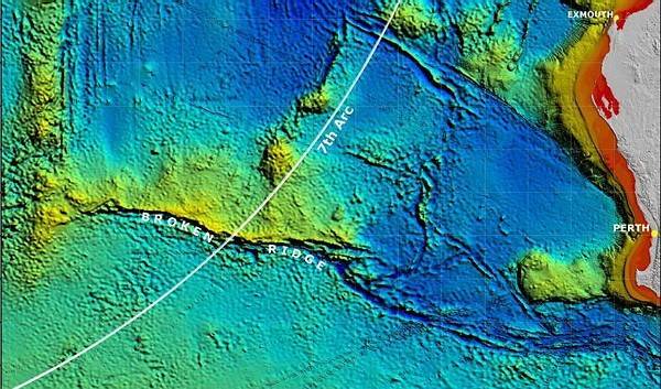
Британская компания «Инмарсат» (Inmarsat) заявила. что искать пропавший 8 марта «Боинг-777-200» компании Malaysia Airlines надо было там, где указывали специалисты фирмы, а не там, где засекли сигналы, якобы исходившие от черных ящиков самолета. Два месяца дорогостоящих поисков выброшены псу под хвост.
Специалисты Inmarsat рассказали, что искать лайнер надо было там, где указали они, вычислив траекторию на основании часовых пингов, которые испускал самолет. Это означает, что останки «Боинга» могут покоиться в любом месте, где проходит вычисленная дуга. Скорее всего. в Южной части Индийского океана, в тысячах километров от того места, где утюжила дно автономная подлодка Bluefin-21.

Inmarsat предлагает искать здесь.
«Искали совсем не там», - заявил представитель «Инмарсат» Крис Эштон, которого цитирует агентство AFP. Он заверил, что компания вычислила примерную траекторию полета самолета. По словам Эштона, лайнер шел на автопилоте.
Однако независимые специалисты поставили под сомнение и эти выкладки. По их мнению, представленная «Инмарсат» фактура слишком сложна и допускает вариативность токования.
------------------------------------------------------------------------------------------------------------------
Реклама
Есть необходимость установки зубных имплантантов? Для того, чтобы достаточно надежно установить имплантанты используется костная пластика. Она поможет Вам во многих случаях по усовершенствованию костной ткани.
Ранее в рубриках
В Воронеже — Утраченные «Мировые иллюзии» и другие отмены в Воронеже
Продолжается череда переносов и отмен спектаклей, концертов и шоу.
В России — ЧП на «Золотой маске»: 20 красноярцев отравились на гастролях в театре Моссовета, одну из актрис госпитализировали
Поклонники театрального искусства не смогут увидеть мюзикл «Бой с тенью».
В мире — Эксперты заговорили о возможном досрочном уходе Дональда Трампа «по санитарно-медицинским соображениям»
Специалисты констатируют, что его «нарциссизм» и «неуверенность» проявляются всё чаще. Говорят, президент «не в себе».
Общество — В Воронеже «завис» новый стадион для «Факела»
Федеральных денег, по-видимому, нет, областной бюджет такое не потянет, а концессионера надо ещё поиcкать.
Театр — «Чайка» и Кейт Бланшетт пролетели мимо премии «Оливье»
Фаворитами критиков стали спектакли «Паддингтон», «Эвита», «Панч», «Кенрекс».
Кино и телевидение — Сериал «Молодой Шерлок» продлён на второй сезон
Увлекательная игра на Prime Video будет продолжена.
Персона — Серию постов о коллегах мэр Сергей Петрин начал со своего первого заместителя Инны Шеиной
Новая рубрика градоначальника призвана продемонстрировать не только достижения команды, но и людей, которые за ними стоят.
Литература — «50 правил Мерил Стрип» – поучительная и увлекательная история жизни выдающейся актрисы
Её путь – это калейдоскоп испытаний: от деревенской бунтарки до морального и творческого лидера нескольких поколений.
Музыка — В Воронеже пройдёт фестиваль современной музыки «Женщины-композиторы»
Вход на все мероприятия фестиваля – свободный.
Изобразительное искусство — Лучшие фотографии недели 4-11 апреля 2026 в мировых СМИ
Вдохновение снизошло на лучших фотохудожников планеты в эту апрельскую неделю.
Зал ожидания — Музей-заповедник «Костёнки» открывает юбилейный 35-й экскурсионно-туристический сезон
Новый сезон обещает быть насыщенным и разнообразным.
Главное — Обнародованы зарплаты руководителей учреждений культуры Воронежа и области
После ознакомления с этой информацией напрашивается вывод: деньги в культуре есть!




